Funghi, flora e faunaFunghi, flora e fauna

Deraeocoris ruber

Dolycoris baccarum

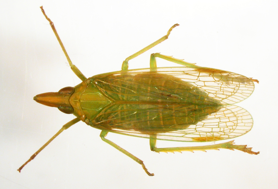
Dictyophara europaea


Dictyophara europaea (Linnaeus, 1767)

Ordine Rhinchota, Sottordine Omoptera, Famiglia Dictyopharidae

Morfologia: lunghezza: 11-13 mm. Corpo allungato, glabro, liscio, opaco. Colore verde. Capo molto allungato, incavato posteriormente, di sopra concavo, con 2 carene frontali alte e strette, 2 laterali e 3 inferiori; occhi molto grandi e sporgenti; antenne brevi, 1° articolo verde, globoso, molto ingrossato, 2° articolo, globoso, piccolo, bruno, articoli rimanenti formanti un filamento scuro breve e sottilissimo.

Pronoto assai più largo che lungo, con 3 carene longitudinali divergenti indietro e con 2 carene laterali; margine anteriore sporgente al centro; margini laterali diritti e divergenti indietro; margine posteriore fortemente incavato. Scutello grande, triangolare, circa tanto lungo che largo, col lato anteriore arrotondato e sporgente e apice acuto, con 3 carene divergenti. Ali 4, trasparenti, con numerose nervature verdi; le anteriori con una macchia preapicale e marginale gialla. Zampe molto snelle, le posteriori saltatorie; tarsi di 3 articoli; femori e tibie angolosi, con brevi e fitte setole sugli angoli; tibie, al bordo esterno, con una serie di aculei anneriti all’apice.

Aspetto inconfondibile.

Distribuzione in Italia: specie euroturanica-maghrebina, in tutta Italia.

Presenza nella zona di studio (bacino del Metauro e litorale della Provincia di Pesaro e Urbino): nel basso-medio bacino specie scarsa (GUBELLINI, 2007).

Ecologia e biologia: su varie piante erbacee, di cui succhia la linfa.


Dettaglio scheda
  • Data di redazione: 21.10.2024
    Ultima modifica: 21.10.2024

Nessun documento correlato.


Deraeocoris ruber

Dolycoris baccarum